修理人たぐちの徒然日記コラム・ギャラリー
2011.07.15

レモンバームに可憐な花が咲きました。種が採れればと思います。

ラベンダーも芳香を放っています。

甘甘娘に髭がはい出しました。髭一本が実一つに繋がっています。
受粉できないと実欠けになります。頭頂に咲いています雄花の花粉を髭に擦り込み受粉の助けを致します。二番目以降の実はヤングコーンとしてサラダで味わいます。
この頃、お店で見かけるようになりましたね!季節の贈り物をお楽しみ下さい。

紫蘇も大株になっちゃいました。近所の方に香りが強いと喜ばれます。

枝豆の本葉まで2回目の土寄せです。順調に生育しています。


かまけていました柘植の木ですが見栄えが悪くトリマーで刈り込みを致しました。
素人ながら見栄えが良くなったと納得した次第です。後の紅葉も大変なことになっています。来週には何とか手を入れたいと思います。

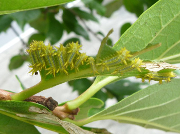
芝を刈り込んでいますと目線にイラガの幼虫が孵化しています。行儀良く並んで食害をしています。先週ヘタムシの薬剤を散布したのですが、イラガ(俗称:デンキケムシ)に効き目がないようです。キンチョールを一吹き、目を廻して落下していきました。

花卉の肥料を買いにホームセンターへ。目に止まりましたのがBOSCHの園芸用品です。
西ドイツの工具メーカーですが、園芸用品に参入をしてきました。
充電式のトリマーで2種類の刃の交換が出来、動作音が静かですね!(8,800円)
この手の園芸用品はあることはあったのですが、電気式で五月蠅いのです。又、殆どがダンボール製の箱に入っていまして箱の破損後の保管に悩むものです。ドイツ人の考えはブリキ缶なのです。保管に耐久性があり、気に入って買ってしまいました。柄が別売で立ち姿勢の作業が出来ます。カメラ修理道具として使えませんから、財布の都合で本体のみと致しました。

芝刈り機で刈りますと縁石際は残ってしまいます。以前は、使い古した裁ち鋏で蚊遣りを手元に置きチョキチョキでした。効率が悪かったです。

新たに手に入れた玩具ですと素早く作業が出来ますし、仕上がりが綺麗ですね!

芝の中の踏み石回りも綺麗な刈り込みが出来ました。性癖でしょうか?こうなると面白くてしょうがない。他に刈り込む所が無いか?無理矢理探してしまいます。
又、2週間が経てば伸びてきて遊ぶことが出来ますが。。。

あなたの大切なお写真の現像・保存・プリントは写真専門店カメラのキタムラにおまかせください。